조황관리HOME / 조황관리 / 상세정보

제목 : 12월 27일 거진항 어구 가자미 연 날렷습니다. 밴도와서 보세요 영상
등록일 : 2025-12-27
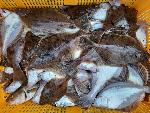
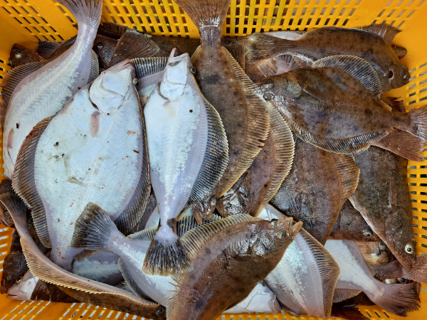
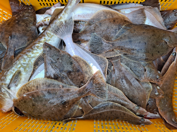
오늘 14명 조사님들과 어구가자미 다녀 왔습니다.  
오늘은 저번주보다 양이 나아졌네요~
사이즈는 골고루 올라왔습니다. 아침에는 바람이 많이 불었는데도
가자미가 잘 올라와줬습니다.
공동 장원 15kg 잡으셨네요~
출조하신 조사님들 고생 많으셨습니다.

위에 글은 미성호 선장님이 올리신 글입니다.

가자미 연 날리는걸 보니 맘이 흐믓 햇네요

잘 나오면 갈게 하는 사장님들 보다 춥고 기상도 안좋은데

약속 지켜 주시고

조황 올려 주신 사장님들 너무 감사 합니다.

아마도 오늘 꽝 칠걸 알면서도 오셔겠지요?

정말 고마운 분들입니다.

그런데 유튜브 생방송 하다가 저나기 밧데리가 다 되어서

전원이 꺼져 버려서 좋은 영상 다 날러 갖네요.ㅠ.ㅠ

아~~~~~~악 억울해.

새해 복 많이 받으실겁니다.


복12.jpeg


20251227_133705.jpg


20251227_133708.jpg


20251227_133714.jpg


20251227_133932.jpg


20251227_133948.jpg


20251227_133959.jpg


20251227_134008.jpg


20251227_134023.jpg


20251227_134036.jpg


20251227_134047.jpg


20251227_134056.jpg




바다의 전설 부평25_사진_20251227_2.jpg


바다의 전설 부평25_사진_20251227_3.jpg


바다의 전설 부평25_사진_20251227_4.jpg


바다의 전설 부평25_사진_20251227_5.jpg


바다의 전설 부평25_사진_20251227_6.jpg


바다의 전설 부평25_사진_20251227_7.jpg


바다의 전설 부평25_사진_20251227_8.jpg
 

====== 부평25시 예약안내 ======

안녕하세요! 부평25시입니다.
먼길 찾아주시는 조사님들을 위해 항상 최선을 다하겠습니다. 

■ 예약문의 : 010-4345-8822

■ 오시는길 인천 부평구 무네미로 433번지

■ 부평25시 실시간 예약 바로가기 :
http://bp25.sunsang24.com/
■ 계좌안내 : 농협 / 302-1432-0753-81 / 박요상 

[꾸미기]NAVER 부평25시 1.jpg


[꾸미기]업소용2.jpg

부평25시 모바일.gif

 
Top